Elektrika

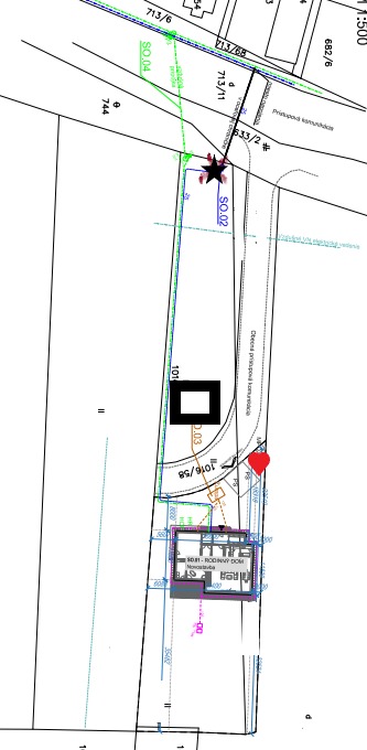
Ahojte na obr. kde je hviezdicka je od SSD navrhnutá pripojka elektriny. Nám by bolo výhodnejšie keby bola tam kde je srdiečko . Čo by bolo vhodné spraviť preto ? Alebo ak by už aj bola dolu tak je otazka či je možné spravit spoza hodin odbocku na dom a na garaž ? Nech dom má svoju vlastnu skrinu s ističmi a garaž vlastnú .
Odpovedať
evidentne som sa zle vyjadril. po prvé, celé to od spodu (hviezdičky) až po dom (a aj za domom prirodzene) proste celý ten pás je náš, pozemok je plánované predeliť obecnou cestou, tak ako je to v pláme nakreslené, a síce som sa zmieril s tým, že cca. 100m od funkčnej cesty (dole) sa budeme musieť napojiť až hore k domu. ...O čo mi ide, je,- aby skrinka na elektriku bola bližšie pri dome a aby som sa potom mohol z nej napojiť aj na garáž (ten pomaľovaný štvorec s hrubým lemovaním) ... že či by sa nejako nedalo potiahnúť el. hore k domu a tam bude 2há skriňa na el. prípadne aj vodomerná šachta...(pýtam sa pretože vôbec netuším ako to v týchto veciach funguje) a preto by som to potiahol do toho trojuholníka(na hranicu pozemku kde bude stáť náš dom) ufff... dúfam, že som sa už teraz vyjadril jasnejšie....
Odpovedať
Apropó.... schválili nám pripojenie, a nakreslili pripojenie šachty, aj elektriky na ten spodný pozemok... ak by som to ale chcel dať hore, je potrebné to riešiť s vodárňami, a elekrárňami ešte pred vydaním staveb. povolenia (na dom) ? alebo to môžem riešiť popri stavbe? potrebujem na to povolenie?
Odpovedať
Profilova fotka
@ickokt Elektromerový rozvádzač musí byť na hranici pozemku.Odtial dovedieš hlavnú prípojku do domu . Z domového rozvádzača urobíš pripojenie garážového rozvádzača.
Odpovedať
1
Na pridanie príspevku sa musíte prihlásiť.
Presunutím fotiek môžete zmeniť ich poradie

Nenašli ste čo ste hľadali?