Čo hovoríte na tento úzky pozemok?

Zobraz úvodný príspevok
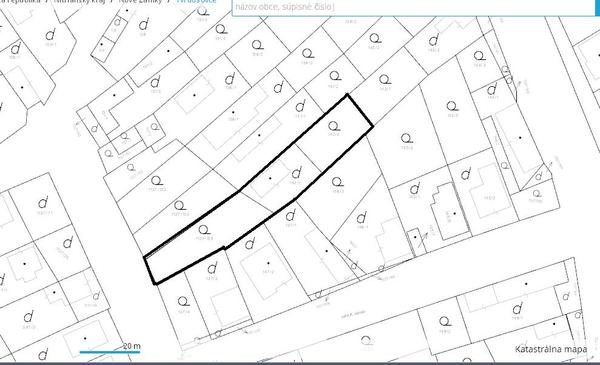
Ahojte. Čo hovoríte na tento pozemok? V strede ako je dom by mal mať šírku cca 14 metrov. Viem že to nie je ideálny pozemok, ale bol mi darovaný po prarodičoch a určite chcem na ňom postaviť náš budúci domček. Svetové strany sú podľa obrázka - hore sever, dole juh... Myslíte, že naprojektovať dom na tento pozemok bude veľmi komplikované? Ďakujem za všetky rady :)
Odpovedať
1
2
ja sa len tak pripojim...takto to vyzera konecne aj na slovensku...ked je osvieteny majitel a architekt http://www.earch.cz/cs/architektura/n... podla mna paradny domcek aj na uzky pozemok...ja sice poschodia nemusim a ani sikmu strechu...ale tento je naozaj pekne vymysleny...ako som uz pisal...treba oslovit architekta (osvieteneho :) )
Odpovedať
1
2
Na pridanie príspevku sa musíte prihlásiť.
Presunutím fotiek môžete zmeniť ich poradie

Nenašli ste čo ste hľadali?